Ogłoszenie nr 15399 - 2017 z dnia 2017-01-27 r.

Budziszewice: Przebudowa drogi w miejscowości Teodorów.
OGŁOSZENIE O ZAMÓWIENIU - Roboty budowlane

Zamieszczono w Biuletynie Zamówień Publicznych
Ogłoszenie nr 15399 - 2017 z dnia 2017-01-27 r.

Zamieszczanie ogłoszenia: obowiązkowe

Ogłoszenie dotyczy: zamówienia publicznego

Zamówienie dotyczy projektu lub programu współfinansowanego ze środków Unii Europejskiej

tak


Nazwa projektu lub programu
Współfinansowane ze środków EFRROW w ramach PROW na lata 2014-2020, poddziałanie Wsparcie inwestycji związanych z tworzeniem , ulepszaniem lub rozbudową wszystkich rodzajów małej infrastruktury, w tym inwestycji w energię odnawialną i w oszczędzanie energii, operacje typu Budowa lub modernizacja dróg lokalnych.

O zamówienie mogą ubiegać się wyłącznie zakłady pracy chronionej oraz wykonawcy, których działalność, lub działalność ich wyodrębnionych organizacyjnie jednostek, które będą realizowały zamówienie, obejmuje społeczną i zawodową integrację osób będących członkami grup społecznie marginalizowanych

nie


Należy podać minimalny procentowy wskaźnik zatrudnienia osób należących do jednej lub więcej kategorii, o których mowa w art. 22 ust. 2 ustawy Pzp, nie mniejszy niż 30%, osób zatrudnionych przez zakłady pracy chronionej lub wykonawców albo ich jednostki (w %)

SEKCJA I: ZAMAWIAJĄCY

Postępowanie przeprowadza centralny zamawiający

nie

Postępowanie przeprowadza podmiot, któremu zamawiający powierzył/powierzyli przeprowadzenie postępowania

nie

Informacje na temat podmiotu któremu zamawiający powierzył/powierzyli prowadzenie postępowania:
Postępowanie jest przeprowadzane wspólnie przez zamawiających

nie


Jeżeli tak, należy wymienić zamawiających, którzy wspólnie przeprowadzają postępowanie oraz podać adresy ich siedzib, krajowe numery identyfikacyjne oraz osoby do kontaktów wraz z danymi do kontaktów:

Postępowanie jest przeprowadzane wspólnie z zamawiającymi z innych państw członkowskich Unii Europejskiej

nie

W przypadku przeprowadzania postępowania wspólnie z zamawiającymi z innych państw członkowskich Unii Europejskiej – mające zastosowanie krajowe prawo zamówień publicznych:
Informacje dodatkowe:

I. 1) NAZWA I ADRES: Gmina Budziszewice, krajowy numer identyfikacyjny 59064781300000, ul. ul. J. Ch. Paska  66, 97212   Budziszewice, woj. łódzkie, państwo Polska, tel. 447 102 389, e-mail Ten adres pocztowy jest chroniony przed spamowaniem. Aby go zobaczyć, konieczne jest włączenie w przeglądarce obsługi JavaScript., faks 447 102 389.
Adres strony internetowej (URL): http://bip.budziszewice.net

I. 2) RODZAJ ZAMAWIAJĄCEGO: Administracja samorządowa

I.3) WSPÓLNE UDZIELANIE ZAMÓWIENIA (jeżeli dotyczy):

Podział obowiązków między zamawiającymi w przypadku wspólnego przeprowadzania postępowania, w tym w przypadku wspólnego przeprowadzania postępowania z zamawiającymi z innych państw członkowskich Unii Europejskiej (który z zamawiających jest odpowiedzialny za przeprowadzenie postępowania, czy i w jakim zakresie za przeprowadzenie postępowania odpowiadają pozostali zamawiający, czy zamówienie będzie udzielane przez każdego z zamawiających indywidualnie, czy zamówienie zostanie udzielone w imieniu i na rzecz pozostałych zamawiających):

I.4) KOMUNIKACJA:
Nieograniczony, pełny i bezpośredni dostęp do dokumentów z postępowania można uzyskać pod adresem (URL)

tak
http://bip.budziszewice.net


Adres strony internetowej, na której zamieszczona będzie specyfikacja istotnych warunków zamówienia

tak
http://bip.budziszewice.net


Dostęp do dokumentów z postępowania jest ograniczony - więcej informacji można uzyskać pod adresem

nie


Oferty lub wnioski o dopuszczenie do udziału w postępowaniu należy przesyłać:
Elektronicznie

nie
adres

Dopuszczone jest przesłanie ofert lub wniosków o dopuszczenie do udziału w postępowaniu w inny sposób:
nie
Wymagane jest przesłanie ofert lub wniosków o dopuszczenie do udziału w postępowaniu w inny sposób:
tak
Inny sposób:
Ofertę Wykonawca może dostarczyć za pośrednictwem operatora pocztowego w rozumieniu ustawy z dnia 23 listopada 2012r. - Prawo pocztowe (Dz.U.z 2012r.poz.1529 z późn.zm.), osobiście lub za pośrednictwem posłańca
Adres:
Urząd Gminy w Budziszewicach, 97-212 Budziszewice, ul.J.Ch.Paska 66, pokój nr 2 (parter)


Komunikacja elektroniczna wymaga korzystania z narzędzi i urządzeń lub formatów plików, które nie są ogólnie dostępne

nie
Nieograniczony, pełny, bezpośredni i bezpłatny dostęp do tych narzędzi można uzyskać pod adresem: (URL)

SEKCJA II: PRZEDMIOT ZAMÓWIENIA


II.1) Nazwa nadana zamówieniu przez zamawiającego: Przebudowa drogi w miejscowości Teodorów.
Numer referencyjny: RG.271-3/2017
Przed wszczęciem postępowania o udzielenie zamówienia przeprowadzono dialog techniczny

nie


II.2) Rodzaj zamówienia: roboty budowlane
II.3) Informacja o możliwości składania ofert częściowych
Zamówienie podzielone jest na części:

Nie



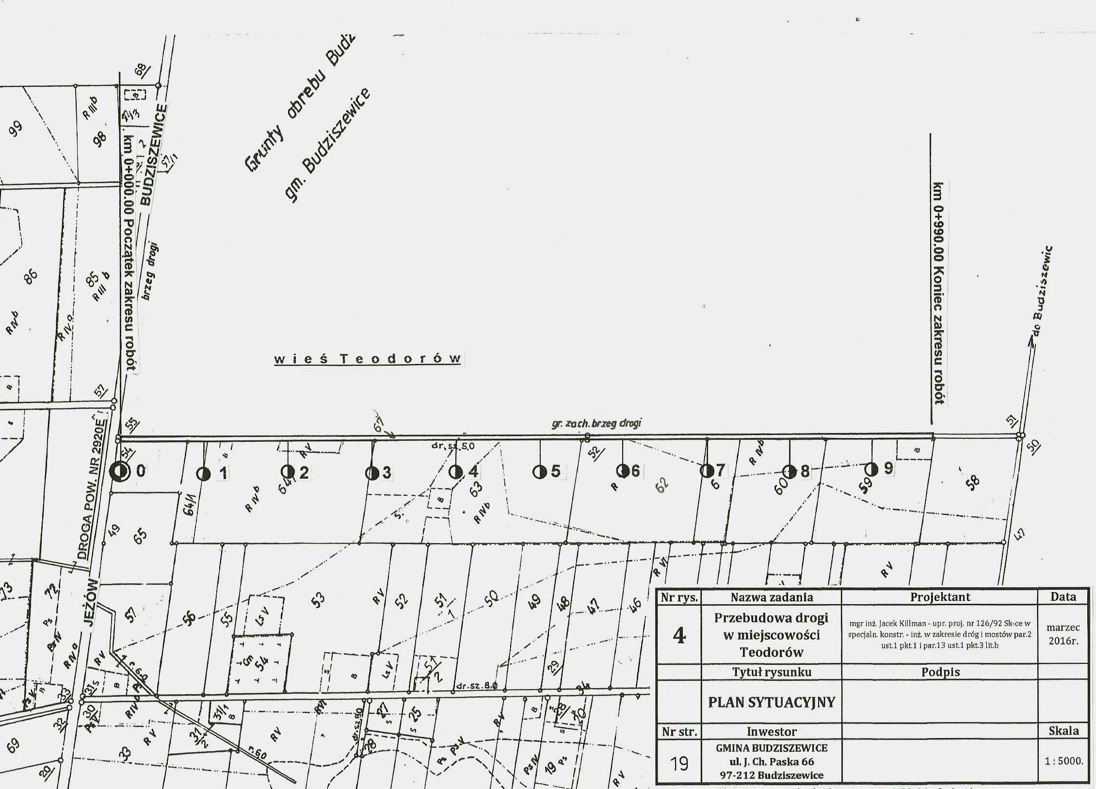
II.4) Krótki opis przedmiotu zamówienia (wielkość, zakres, rodzaj i ilość dostaw, usług lub robót budowlanych lub określenie zapotrzebowania i wymagań ) a w przypadku partnerstwa innowacyjnego - określenie zapotrzebowania na innowacyjny produkt, usługę lub roboty budowlane: Przedmiot zamówienia obejmuje odcinek drogi wynoszący 990 m, zlokalizowanej na działce oznaczonej nr ewidencyjnym 67 w obrębie Teodorów i polegać będzie na wykonaniu robót pomiarowych; przygotowaniu istniejącego podłoża bitumicznego oraz z destruktu i kruszywa – oczyszczenie, profilowanie i dogęszczenie; wyrównaniu podbudowy z destruktu i kruszywa kruszywem łamanym 0/31 o gr. średnio 10 cm; wykonaniu wyrównania istniejącej jezdni bitumicznej betonem asfaltowym na siatce przeciwspękaniowej; ułożeniu warstwy wiążącej z betonu asfaltowego o grubości 4 cm na części odcinka; ułożeniu warstwy ścieralnej z betonu asfaltowego o grubości 4 cm na całym odcinku jezdni; uzupełnieniu poboczy kruszywem łamanym stabilizowanym mechanicznie lub destruktem bitumicznym na grubość 10 cm. Zammawiający stosownie do art.29 ust.3a ustawy Pzp wymaga zatrudnienie przez Wykonawcę lub Podwykonawcę na podstawie umowy o pracę osób wykonujących czynności w zakresie realizacji zamówienia, których wykonanie zawiera cechy stosunku pracy określone w art.22par.1 ustawy z dnia 26 czerwca 1974r.- Kodeks pracy - wymagania zostały określone w siwz. Szczegółowy opis przedmiotu zamówienia w tym jego zakres zawierają dokumentacja projektowa (projekt budowlany i przedmiar robót) oraz specyfikacje techniczne wykonania i odbioru robót, stanowiące integralną część SIWZ. Wartość zamówienia poniżej kwoty określonej w przepisach wydanych na podstawie art.11ust.8 ustawy Pzp.

II.5) Główny kod CPV: 45200000-9
Dodatkowe kody CPV:45230000-8, 45233000-9
II.6) Całkowita wartość zamówienia (jeżeli zamawiający podaje informacje o wartości zamówienia):
Wartość bez VAT:
Waluta:


(w przypadku umów ramowych lub dynamicznego systemu zakupów – szacunkowa całkowita maksymalna wartość w całym okresie obowiązywania umowy ramowej lub dynamicznego systemu zakupów)


II.7) Czy przewiduje się udzielenie zamówień, o których mowa w art. 67 ust. 1 pkt 6 i 7 lub w art. 134 ust. 6 pkt 3 ustawy Pzp: nie
II.8) Okres, w którym realizowane będzie zamówienie lub okres, na który została zawarta umowa ramowa lub okres, na który został ustanowiony dynamiczny system zakupów:

data zakończenia: 20/06/2017


II.9) Informacje dodatkowe:

SEKCJA III: INFORMACJE O CHARAKTERZE PRAWNYM, EKONOMICZNYM, FINANSOWYM I TECHNICZNYM

III.1) WARUNKI UDZIAŁU W POSTĘPOWANIU

III.1.1) Kompetencje lub uprawnienia do prowadzenia określonej działalności zawodowej, o ile wynika to z odrębnych przepisów
Określenie warunków:
Informacje dodatkowe
III.1.2) Sytuacja finansowa lub ekonomiczna
Określenie warunków:
Informacje dodatkowe
III.1.3) Zdolność techniczna lub zawodowa
Określenie warunków: Zamawiający uzna warunek za spełniony, gdy Wykonawca wykaże, że :1) w okresie ostatnich 5 lat przed upływem terminu składania ofert, a jeżeli okres prowadzenia działalności jest krótszy – w tym okresie, należycie wykonał co najmniej jedną robotę budowlaną polegającą na budowie ,przebudowie lub remoncie drogi o długości minimum 500 m, 2) skieruje do realizacji zamówienia co najmniej jedną osobę na kierownika budowy, która posiada uprawnienia do kierowania robotami budowlanymi w specjalności drogowej lub odpowiadające im ważne uprawnienia budowlane, które zostały wydane na podstawie wcześniej obowiązujących przepisów i w okresie ostatnich 3 lat przed upływem terminu składania ofert pełniła funkcję kierownika budowy w odniesieniu do minimum jednej roboty budowlanej obejmującej budowę, przebudowę lub remont drogi. W przypadku wykonawców wspólnie ubiegających się o udzielenie przedmiotowego zamówienia, każdy z Partnerów musi spełniać co najmniej jeden z warunków udziału dotyczących zdolności technicznej lub zawodowej, określonych wyżej w pkt III.1.3.1-2,tak aby łącznie spełniać obydwa te warunki. tak, by łącznie spełniać obydwa te warunki.
Zamawiający wymaga od wykonawców wskazania w ofercie lub we wniosku o dopuszczenie do udziału w postępowaniu imion i nazwisk osób wykonujących czynności przy realizacji zamówienia wraz z informacją o kwalifikacjach zawodowych lub doświadczeniu tych osób: nie
Informacje dodatkowe:

III.2) PODSTAWY WYKLUCZENIA

III.2.1) Podstawy wykluczenia określone w art. 24 ust. 1 ustawy Pzp
III.2.2) Zamawiający przewiduje wykluczenie wykonawcy na podstawie art. 24 ust. 5 ustawy Pzp tak
Zamawiający przewiduje następujące fakultatywne podstawy wykluczenia:
(podstawa wykluczenia określona w art. 24 ust. 5 pkt 1 ustawy Pzp)

III.3) WYKAZ OŚWIADCZEŃ SKŁADANYCH PRZEZ WYKONAWCĘ W CELU WSTĘPNEGO POTWIERDZENIA, ŻE NIE PODLEGA ON WYKLUCZENIU ORAZ SPEŁNIA WARUNKI UDZIAŁU W POSTĘPOWANIU ORAZ SPEŁNIA KRYTERIA SELEKCJI

Oświadczenie o niepodleganiu wykluczeniu oraz spełnianiu warunków udziału w postępowaniu
tak
Oświadczenie o spełnianiu kryteriów selekcji
tak

III.4) WYKAZ OŚWIADCZEŃ LUB DOKUMENTÓW , SKŁADANYCH PRZEZ WYKONAWCĘ W POSTĘPOWANIU NA WEZWANIE ZAMAWIAJACEGO W CELU POTWIERDZENIA OKOLICZNOŚCI, O KTÓRYCH MOWA W ART. 25 UST. 1 PKT 3 USTAWY PZP:

1.Odpis z właściwego rejestru lub z centralnej ewidencji i informacji o działalności gospodarczej, jeżeli odrębne przepisy wymagają wpisu do rejestru lub ewidencji - w celu potwierdzenia braku podstaw wykluczenia na podstawie art.24 ust.5 pkt 1 ustawy Pzp. UWAGA – Wykonawca mający siedzibę lub miejsce zamieszkania poza terytorium Rzeczypospolitej Polskiej składa dokument wystawiony w kraju, w którym ma siedzibę lub miejsce zamieszkania potwierdzający, że nie otwarto jego likwidacji ani nie ogłoszono upadłości, wystawiony nie wcześniej niż 6 miesięcy przed upływem terminu składania ofert. Jeżeli w kraju , w którym wykonawca ma siedzibę lub miejsce zamieszkania lub miejsce zamieszkania ma osoba, której dokument dotyczy, nie wydaje się takich dokumentów, zastępuje się je dokumentem zawierającym odpowiednio oświadczenie wykonawcy, ze wskazaniem osoby albo osób uprawnionych do jego reprezentacji, lub oświadczenie osoby, której dokument miał dotyczyć, złożone przed notariuszem lub przed organem sądowym, administracyjnym albo organem samorządu zawodowego lub gospodarczego właściwym ze względu na siedzibę lub miejsce zamieszkania wykonawcy lub miejsce zamieszkania tej osoby, wystawionym nie wcześniej niż 6 miesięcy przed upływem terminu składania ofert.2.Zamawiający żąda od Wykonawcy, który polega na zdolnościach innych podmiotów na zasadach określonych w art.22a ustawy Pzp, przedstawienia w odniesieniu do tych podmiotów dokumentu wymienionego wyżej w pkt III.4.1 - w celu potwierdzenia braku podstaw wykluczenia. Wykonawcy składający ofertę wspólnie: Każdy z Partnerów musi złożyć dokument wymieniony w pkt III.4.1. Dokumenty mają bowiem potwierdzać brak podstaw do wykluczenia każdego z wykonawców wspólnie ubiegających się o udzielenie zamówienia.

III.5) WYKAZ OŚWIADCZEŃ LUB DOKUMENTÓW SKŁADANYCH PRZEZ WYKONAWCĘ W POSTĘPOWANIU NA WEZWANIE ZAMAWIAJACEGO W CELU POTWIERDZENIA OKOLICZNOŚCI, O KTÓRYCH MOWA W ART. 25 UST. 1 PKT 1 USTAWY PZP

III.5.1) W ZAKRESIE SPEŁNIANIA WARUNKÓW UDZIAŁU W POSTĘPOWANIU:
W celu potwierdzenia spełniania przez wykonawcę warunków udziału w postępowaniu dotyczących zdolności technicznej lub zawodowej:1)wykaz robót budowlanych wykonanych nie wcześniej niż w okresie ostatnich 5 lat przed upływem terminu składania ofert, a jeżeli okres prowadzenia działalności jest krótszy- w tym okresie,wraz z podaniem ich rodzaju, wartości, daty, miejsca wykonania i podmiotów, na rzecz których roboty te zostały wykonane, z załączeniem dowodów określających czy te roboty budowlane zostały wykonane należycie, w szczególności informacji o tym czy roboty zostały wykonane zgodnie z przepisami prawa budowlanego i prawidłowo ukończone, przy czym, dowodami, o których mowa, są referencje bądź inne dokumenty wystawione przez podmiot, na rzecz którego roboty budowlane były wykonywane, a jeżeli z uzasadnionej przyczyny o obiektywnym charakterze wykonawca nie jest w stanie uzyskać tych dokumentów- inne dokumenty, 2) wykaz osób skierowanych przez Wykonawcę do realizacji zamówienia publicznego, w szczególności odpowiedzialnych za kierowanie robotami budowlanymi, wraz z informacjami na temat ich kwalifikacji zawodowych, uprawnień, doświadczenia i wykształcenia niezbędnych do wykonania zamówienia publicznego, a także zakresu wykonywanych przez nie czynności oraz informacją o podstawie do dysponowania tymi osobami .Wykonawcy składający ofertę wspólnie:-Wykaz robót wraz z załączonymi do niego dowodami określającymi , wymieniony wyżej w pkt III.5.1.1 może zostać złożony i dotyczyć tylko jednego Partnera. Dla warunku wymienionego w pkt III.1.3.1 ogłoszenia wystarczy bowiem, że zostanie on spełniony łącznie poprzez sumaryczną ocenę wszystkich wykonawców składających ofertę wspólnie, -Wykaz osób, wymieniony wyżej w pkt III.5.1.2 może zostać złożony i dotyczyć tylko jednego Partnera. Dla warunku wymienionego w pkt III.1.3.2 ogłoszenia wystarczy bowiem, że zostanie on spełniony łącznie poprzez sumaryczną ocenę wszystkich wykonawców składających ofertę wspólnie,z zachowaniem jednak wymogu, określonego w pkt III.1.3 ogłoszenia.
III.5.2) W ZAKRESIE KRYTERIÓW SELEKCJI:

III.6) WYKAZ OŚWIADCZEŃ LUB DOKUMENTÓW SKŁADANYCH PRZEZ WYKONAWCĘ W POSTĘPOWANIU NA WEZWANIE ZAMAWIAJACEGO W CELU POTWIERDZENIA OKOLICZNOŚCI, O KTÓRYCH MOWA W ART. 25 UST. 1 PKT 2 USTAWY PZP

III.7) INNE DOKUMENTY NIE WYMIENIONE W pkt III.3) - III.6)

1/kosztorys ofertowy uproszczony – wraz z ofertą,2/ pełnomocnictwo do reprezentowania Wykonawcy o ile ofertę składa pełnomocnik – wraz z ofertą 3/ w przypadku oferowania rozwiązań równoważnych dla dopuszczonych przez Zamawiającego materiałów i urządzeń – dokumenty zawierające dane techniczne i parametry proponowanych równoważnych materiałów i urządzeń – wraz z ofertą 4/zobowiązanie podmiotu trzeciego do oddania Wykonawcy do dyspozycji niezbędnych zasobów na potrzeby realizacji przedmiotowego zamówienia ( w przypadku, gdy Wykonawca korzystaz potencjału podmiotu trzeciego) – wraz z ofertą, 5/oświadczenie o przynależności lub braku przynależności do tej samej grupy kapitałowej, o której mowa w art.24ust.1pkt 23 ustawy Pzp -w terminie 3 dni od dnia zamieszczenia na stronie internetowej Zamawiającego informacji, o której mowa w art.86 ust.5 ustawy Pzp-w celu potwierdzenia braku podstaw wykluczenia Wykonawcy z udziału w postępowaniu w okolicznościach, o których mowa w art.24 ust.1 pkt 23 ustawy Pzp.

SEKCJA IV: PROCEDURA

IV.1) OPIS
IV.1.1) Tryb udzielenia zamówienia: przetarg nieograniczony
IV.1.2) Zamawiający żąda wniesienia wadium:

nie


IV.1.3) Przewiduje się udzielenie zaliczek na poczet wykonania zamówienia:

nie


IV.1.4) Wymaga się złożenia ofert w postaci katalogów elektronicznych lub dołączenia do ofert katalogów elektronicznych:

nie
Dopuszcza się złożenie ofert w postaci katalogów elektronicznych lub dołączenia do ofert katalogów elektronicznych:
nie
Informacje dodatkowe:


IV.1.5.) Wymaga się złożenia oferty wariantowej:

nie
Dopuszcza się złożenie oferty wariantowej
nie
Złożenie oferty wariantowej dopuszcza się tylko z jednoczesnym złożeniem oferty zasadniczej:
nie


IV.1.6) Przewidywana liczba wykonawców, którzy zostaną zaproszeni do udziału w postępowaniu
(przetarg ograniczony, negocjacje z ogłoszeniem, dialog konkurencyjny, partnerstwo innowacyjne)

Liczba wykonawców  
Przewidywana minimalna liczba wykonawców
Maksymalna liczba wykonawców  
Kryteria selekcji wykonawców:


IV.1.7) Informacje na temat umowy ramowej lub dynamicznego systemu zakupów:

Umowa ramowa będzie zawarta:

Czy przewiduje się ograniczenie liczby uczestników umowy ramowej:
nie
Informacje dodatkowe:

Zamówienie obejmuje ustanowienie dynamicznego systemu zakupów:
nie
Informacje dodatkowe:

W ramach umowy ramowej/dynamicznego systemu zakupów dopuszcza się złożenie ofert w formie katalogów elektronicznych:
nie
Przewiduje się pobranie ze złożonych katalogów elektronicznych informacji potrzebnych do sporządzenia ofert w ramach umowy ramowej/dynamicznego systemu zakupów:
nie


IV.1.8) Aukcja elektroniczna
Przewidziane jest przeprowadzenie aukcji elektronicznej (przetarg nieograniczony, przetarg ograniczony, negocjacje z ogłoszeniem) nie
Należy wskazać elementy, których wartości będą przedmiotem aukcji elektronicznej:
Przewiduje się ograniczenia co do przedstawionych wartości, wynikające z opisu przedmiotu zamówienia:
nie
Należy podać, które informacje zostaną udostępnione wykonawcom w trakcie aukcji elektronicznej oraz jaki będzie termin ich udostępnienia:
Informacje dotyczące przebiegu aukcji elektronicznej:
Jaki jest przewidziany sposób postępowania w toku aukcji elektronicznej i jakie będą warunki, na jakich wykonawcy będą mogli licytować (minimalne wysokości postąpień):
Informacje dotyczące wykorzystywanego sprzętu elektronicznego, rozwiązań i specyfikacji technicznych w zakresie połączeń:
Wymagania dotyczące rejestracji i identyfikacji wykonawców w aukcji elektronicznej:
Informacje o liczbie etapów aukcji elektronicznej i czasie ich trwania:

Aukcja wieloetapowa

etap nr czas trwania etapu
   


Czy wykonawcy, którzy nie złożyli nowych postąpień, zostaną zakwalifikowani do następnego etapu: nie
Warunki zamknięcia aukcji elektronicznej:


IV.2) KRYTERIA OCENY OFERT
IV.2.1) Kryteria oceny ofert:
IV.2.2) Kryteria

Kryteria Znaczenie
cena 60.00
okres gwarancji 40.00


IV.2.3) Zastosowanie procedury, o której mowa w art. 24aa ust. 1 ustawy Pzp (przetarg nieograniczony)
tak
IV.3) Negocjacje z ogłoszeniem, dialog konkurencyjny, partnerstwo innowacyjne
IV.3.1) Informacje na temat negocjacji z ogłoszeniem
Minimalne wymagania, które muszą spełniać wszystkie oferty:

Przewidziane jest zastrzeżenie prawa do udzielenia zamówienia na podstawie ofert wstępnych bez przeprowadzenia negocjacji nie
Przewidziany jest podział negocjacji na etapy w celu ograniczenia liczby ofert: nie
Należy podać informacje na temat etapów negocjacji (w tym liczbę etapów):

Informacje dodatkowe


IV.3.2) Informacje na temat dialogu konkurencyjnego
Opis potrzeb i wymagań zamawiającego lub informacja o sposobie uzyskania tego opisu:

Informacja o wysokości nagród dla wykonawców, którzy podczas dialogu konkurencyjnego przedstawili rozwiązania stanowiące podstawę do składania ofert, jeżeli zamawiający przewiduje nagrody:

Wstępny harmonogram postępowania:

Podział dialogu na etapy w celu ograniczenia liczby rozwiązań: nie
Należy podać informacje na temat etapów dialogu:


Informacje dodatkowe:

IV.3.3) Informacje na temat partnerstwa innowacyjnego
Elementy opisu przedmiotu zamówienia definiujące minimalne wymagania, którym muszą odpowiadać wszystkie oferty:

Podział negocjacji na etapy w celu ograniczeniu liczby ofert podlegających negocjacjom poprzez zastosowanie kryteriów oceny ofert wskazanych w specyfikacji istotnych warunków zamówienia:
nie
Informacje dodatkowe:

IV.4) Licytacja elektroniczna
Adres strony internetowej, na której będzie prowadzona licytacja elektroniczna:

Adres strony internetowej, na której jest dostępny opis przedmiotu zamówienia w licytacji elektronicznej:

Wymagania dotyczące rejestracji i identyfikacji wykonawców w licytacji elektronicznej, w tym wymagania techniczne urządzeń informatycznych:

Sposób postępowania w toku licytacji elektronicznej, w tym określenie minimalnych wysokości postąpień:

Informacje o liczbie etapów licytacji elektronicznej i czasie ich trwania:

Licytacja wieloetapowa

etap nr czas trwania etapu
   


Wykonawcy, którzy nie złożyli nowych postąpień, zostaną zakwalifikowani do następnego etapu: nie

Termin otwarcia licytacji elektronicznej:

Termin i warunki zamknięcia licytacji elektronicznej:


Istotne dla stron postanowienia, które zostaną wprowadzone do treści zawieranej umowy w sprawie zamówienia publicznego, albo ogólne warunki umowy, albo wzór umowy:


Wymagania dotyczące zabezpieczenia należytego wykonania umowy:


Informacje dodatkowe:

IV.5) ZMIANA UMOWY
Przewiduje się istotne zmiany postanowień zawartej umowy w stosunku do treści oferty, na podstawie której dokonano wyboru wykonawcy: tak
Należy wskazać zakres, charakter zmian oraz warunki wprowadzenia zmian:
Zamawiający, działając na podstawie art.144 ust.1 pkt 1 ustawy Pzp przewiduje zmiany zawartej umowy w przypadkach: 1/przedłużenie terminu o okres trwania przyczyn, z powodu których będzie zagrożone dotrzymanie terminu robót, w następujących sytuacjach : a) jeżeli przyczyny, z powodu których będzie zagrożone dotrzymanie terminu zakończenia robót będą następstwem okoliczności, za które odpowiedzialność ponosi Zamawiający, w szczególności będą następstwem nieterminowego przekazania terenu budowy, konieczności usunięcia błędów lub zmian w dokumentacji projektowej w zakresie, w jakim ww. okoliczności miały lub będą mogły mieć wpływ na dotrzymanie terminu zakończenia robót,b) wstrzymania realizacji umowy przez Zamawiającego c) niedopuszczenia do wykonywania lub wstrzymania prac budowlanych przez właściwy organ, z przyczyn niezależnych od Wykonawcy,d) opóźnienia w dokonywaniu określonych czynności lub ich zaniechania przez właściwe organy , które nie są następstwem okoliczności, za które Wykonawca ponosi odpowiedzialność, e) opóźnienia po stronie właściwych organów w uzyskaniu przez wykonawcę niezbędnych decyzji, zezwoleń, uzgodnień itp., do wydania których organy te są zobowiązane mocą przepisów prawa, jeżeli opóźnienie przekroczy okres przewidziany w przepisach prawa, w którym ww. dokumenty powinny zostać wydane oraz nie są następstwem okoliczności,za które Wykonawca ponosi odpowiedzialność, f) zaistnienia warunków pogodowych uniemożliwiających prawidłowe wykonanie robót, w szczególności z powodu technologii realizacji prac określonej umową, normami lub innymi przepisami, wymagającej konkretnych warunków atmosferycznych, jeżeli konieczność wykonania prac w tym okresie nie jest następstwem okoliczności, za które Wykonawca ponosi odpowiedzialność, g) wystąpienia siły wyższej w rozumieniu k.c. uniemożliwiającej wykonanie przedmiotu umowy zgodnie z jej postanowieniami, h) gdy zmiana będzie uzasadniona robotami zamiennymi i) gdy zmiana będzie uzasadniona innymi robotami niezbędnymi do wykonania przedmiotu umowy lub zamówieniami dodatkowymi, które wstrzymują lub opóźniają realizację przedmiotu umowy, wystąpienia niebezpieczeństwa kolizji z planowanymi lub równolegle prowadzonymi przez inne podmioty inwestycjami w zakresie niezbędnym do uniknięcia lub usunięcia tych kolizji,j) wystąpienia innej oczywistej przyczyny uniemożliwiającej wykonanie zamówienia w oznaczonym terminie, niezależnej od Wykonawcy.2/ w zakresie materiałów, parametrów technicznych, technologii wykonania robót budowlanych, sposobu i zakresu wykonywania przedmiotu umowy, w następujących sytuacjach:a) gdy materiały lub urządzenia przewidziane w umowie do wykonania zamówienia nie mogą być użyte przy realizacji przedmiotu umowy z powodu zaprzestania produkcji lub wycofania z rynku lub zastąpienia innymi b) konieczności zrealizowania przedmiotu umowy przy zastosowaniu innych rozwiązań technicznych lub materiałowych ze względu na zmiany obowiązującego prawa c) możliwości zastosowania technologii o wyższym od przyjętego w dokumentacji projektowej standardzie wykonania przedmiotu umowy pozwalającej na zaoszczędzenie czasu realizacji zamówienia lub jego kosztów, jak również kosztów eksploatacji wykonanego przedmiotu umowy,d) konieczności zrealizowania jakiejkolwiek części robót, objętej przedmiotem umowy, przy zastosowaniu odmiennych rozwiązań technicznych lub technologicznych, niż wskazane w dokumentacji projektowej, a wynikających ze stwierdzonych wad tej dokumentacji lub zmiany stanu prawnego w oparciu o który je przygotowano, gdyby zastosowanie przewidzianych rozwiązań groziło niewykonaniem lub nienależytym wykonaniem przedmiotu umowy, e) wystąpienia warunków geologicznych, geotechnicznych lub hydrologicznych odbiegających w istotny sposób od przyjętych w dokumentacji projektowej, znaleziska archeologiczne, niewybuchy lub niewypały, które mogą skutkować w świetle dotychczasowych założeń niewykonaniem lub nienależytym wykonaniem przedmiotu umowy,f) wystąpienia warunków terenu budowy odbiegających w sposób istotny od przyjętych w dokumentacji projektowej, w szczególności napotkania niezinwentaryzowanych lub błędnie zinwentaryzowanych sieci, instalacji lub innych obiektów budowlanych g) konieczności realizacji robót wynikających z wprowadzenia w dokumentacji projektowej zmian uznanych za nieistotne odstępstwo od projektu budowlanego, wynikających z art.36a ust.1 PrBud, h)wystąpienia niebezpieczeństwa kolizji z planowanymi lub równolegle prowadzonymi przez inne podmioty inwestycjami w zakresie niezbędnym do uniknięcia lub usunięcia tych kolizji, i)gdy zmniejszenie zakresu przedmiotu umowy uzasadnione jest zbędnością wykonania robót objętych tym zakresem i nie zagraża należytemu wykonaniu przedmiotu umowy lub roboty zostały ujęte w przedmiarze robót omyłkowo lub w wyniku błędu w dokumentacji projektowej lub zaistniała po stronie Zamawiającego inna okoliczność uzasadniająca zmniejszenie zakresu, w szczególności niewystarczające środki finansowe, a zmiana nie zagraża należytemu wykonaniu i użytkowaniu przedmiotu umowy w zmniejszonym zakresie,j) wystąpienia siły wyższej. uniemożliwiającej wykonanie przedmiotu umowy zgodnie z jej postanowieniami. 3/ w zakresie wynagrodzenia –zmiana wynagrodzenia należnego Wykonawcy, w przypadkach określonych w pkt 2. 4/ zmiany w zakresie podwykonawstwa w następujących sytuacjach: a) możliwość dopuszczenia podwykonawców: - dla innego zakresu robót od wskazanego w ofercie i następnie zawartego w umowie, - w przypadku , gdy Wykonawca w ofercie poinformował, iż nie ma zamiaru powierzenia części zamówienia podwykonawcom, a w trakcie realizacji chciałby powierzyć część zamówienia podwykonawcy, b) rezygnacja z podwykonawstwa. 5/ gdy wynikną rozbieżności lub niejasności w umowie, których nie można usunąć w inny sposób, a zmiana będzie umożliwiać ich usunięcie w celu jednoznacznej interpretacji postanowień umownych przez Strony. 3. Zamawiający jest uprawniony do żądania zmiany sposobu rozliczania umowy lub dokonywania płatności na rzecz Wykonawcy w przypadku potrzeby dostosowania do zawartej przez Zamawiającego umowy o dofinansowanie projektu umowy lub jej zmian lub wytycznych dotyczących realizacji projektu lub ich zmian. 4.Jeżeli Wykonawca uważa się za uprawnionego do przedłużenia terminu zakończenia robót na podstawie ust.2 pkt 1umowy, zmiany umowy w zakresie materiałów, parametrów technicznych, technologii wykonania robót budowlanych, sposobu i zakresu wykonania przedmiotu umowy na podstawie ust.2 pkt 2 lub zmiany wynagrodzenia na podstawie ust.2pkt 3 lub zmiany umowy na innej podstawie wskazanej w niniejszej umowie, zobowiązany jest do przekazania Zamawiającemu wniosku o zmianę umowy wraz z opisem zdarzenia lub okoliczności stanowiących podstawę do żądania takiej zmiany. 5.Wykonawca zobowiązany jest do okazania Zamawiającemu do wglądu dokumentacji koniecznej dla uzasadnienia zmiany , a na żądanie Zamawiającego do przedłożenia kopii tej dokumentacji. 6.Wraz z wnioskiem o zmianę umowy na podstawie ust.2 pkt 2 lub 3 Wykonawca zobowiązany jest złożyć propozycję rozliczenia robót przygotowaną w oparciu o zasady określone w §11. 7.Zamawiający powiadomi Wykonawcę o akceptacji żądania zmiany umowy i terminie jej podpisania lub o braku akceptacji zmiany po uzyskaniu opinii Inspektora Nadzoru w przedmiocie żądanej zmiany i odpowiednio propozycji wyceny robót. 8.Propozycję rozliczenia robót w oparciu o zasady określone w §11 Wykonawca zobowiązany jest przedstawić Zamawiającemu również w sytuacji gdy zmiana umowy następuje z inicjatywy Zamawiającego. 9. W razie wątpliwości, przyjmuje się, że nie stanowią zmiany umowy następujące zmiany:1/ dane związane z obsługą administracyjno-organizacyjną umowy, 2/ danych teleadresowych,3/ danych rejestrowych,4/ będącej następstwem sukcesji uniwersalnej po jednej ze Stron umowy.
IV.6) INFORMACJE ADMINISTRACYJNE

IV.6.1) Sposób udostępniania informacji o charakterze poufnym (jeżeli dotyczy):

Środki służące ochronie informacji o charakterze poufnym

IV.6.2) Termin składania ofert lub wniosków o dopuszczenie do udziału w postępowaniu:
Data: 15/02/2017, godzina: 11:00,
Skrócenie terminu składania wniosków, ze względu na pilną potrzebę udzielenia zamówienia (przetarg nieograniczony, przetarg ograniczony, negocjacje z ogłoszeniem):
nie
Wskazać powody:

Język lub języki, w jakich mogą być sporządzane oferty lub wnioski o dopuszczenie do udziału w postępowaniu
> polski
IV.6.3) Termin związania ofertą: okres w dniach: 30 (od ostatecznego terminu składania ofert)
IV.6.4) Przewiduje się unieważnienie postępowania o udzielenie zamówienia, w przypadku nieprzyznania środków pochodzących z budżetu Unii Europejskiej oraz niepodlegających zwrotowi środków z pomocy udzielonej przez państwa członkowskie Europejskiego Porozumienia o Wolnym Handlu (EFTA), które miały być przeznaczone na sfinansowanie całości lub części zamówienia: nie
IV.6.5) Przewiduje się unieważnienie postępowania o udzielenie zamówienia, jeżeli środki służące sfinansowaniu zamówień na badania naukowe lub prace rozwojowe, które zamawiający zamierzał przeznaczyć na sfinansowanie całości lub części zamówienia, nie zostały mu przyznane nie
IV.6.6) Informacje dodatkowe:

                                                                                                    Wójt Gminy
                                                                                                 (-) Marian Holak

 

 

Ogłoszenie nr 17587 - 2017 z dnia 2017-02-01 r.
Budziszewice:
OGŁOSZENIE O ZMIANIE OGŁOSZENIA
OGŁOSZENIE DOTYCZY:
Ogłoszenia o zamówieniu
INFORMACJE O ZMIENIANYM OGŁOSZENIU
Numer: 15399
Data: 27/01/2017
SEKCJA I: ZAMAWIAJĄCY
Gmina Budziszewice, Krajowy numer identyfikacyjny 59064781300000, ul. ul. J. Ch. Paska  66, 97212   Budziszewice, woj. łódzkie, państwo Polska, tel. 447 102 389, e-mail Ten adres pocztowy jest chroniony przed spamowaniem. Aby go zobaczyć, konieczne jest włączenie w przeglądarce obsługi JavaScript., faks 447 102 389.
Adres strony internetowej (url): http://bip.budziszewice.net
Adres profilu nabywcy:
Adres strony internetowej, pod którym można uzyskać dostęp do narzędzi i urządzeń lub formatów plików, które nie są ogólnie dostępne:
SEKCJA II: ZMIANY W OGŁOSZENIU

II.1) Tekst, który należy zmienić:
Miejsce, w którym znajduje się zmieniany tekst:
Numer sekcji: III
Punkt: III.3)
W ogłoszeniu jest: Oświadczenie o spełnianiu kryteriów selekcji tak
W ogłoszeniu powinno być: Oświadczenie o spełnianiu kryteriów selekcji nie

 

                                                                                                   Wójt Gminy
                                                                                                (-) Marian Holak

 

Załączniki:
PlikOpisZałączającyRozmiarPobieranieZamieszczono
Pobierz plik (SIWZ Teodorów.docx)SIWZ Teodorów.docx Małgorzata Piwońska97 kB6752017-01-27 12:21
Pobierz plik (Przedmiar.pdf)Przedmiar.pdf Małgorzata Piwońska101 kB7472017-01-27 12:21
Pobierz plik (14. Decyzja ZDP.jpg)14. Decyzja ZDP.jpgProjektMałgorzata Piwońska680 kB7162017-01-27 12:20
Pobierz plik (13. OŚWIADCZENIE.doc)13. OŚWIADCZENIE.docProjektMałgorzata Piwońska25 kB6692017-01-27 12:20
Pobierz plik (9. STRTYT CZĘŚC UZUPEŁNIAJĄCA.doc)9. STRTYT CZĘŚC UZUPEŁNIAJĄCA.docProjektMałgorzata Piwońska26 kB6602017-01-27 12:20
Pobierz plik (8. STRTYT CZĘŚC RYSUNKOWA.doc)8. STRTYT CZĘŚC RYSUNKOWA.docProjektMałgorzata Piwońska26 kB6652017-01-27 12:19
Pobierz plik (7. TEODORÓW RN.xls)7. TEODORÓW RN.xlsProjektMałgorzata Piwońska29 kB6662017-01-27 12:19
Pobierz plik (6. TEODORÓW IBIOZ.doc)6. TEODORÓW IBIOZ.docProjektMałgorzata Piwońska66 kB6902017-01-27 12:19
Pobierz plik (5. TEODORÓW OP.doc)5. TEODORÓW OP.docProjektMałgorzata Piwońska92 kB6922017-01-27 12:19
Pobierz plik (4. TEODORÓW DW.doc)4. TEODORÓW DW.docProjektMałgorzata Piwońska40 kB6972017-01-27 12:19
Pobierz plik (3. STRTYT CZĘŚC OPISOWA.doc)3. STRTYT CZĘŚC OPISOWA.docProjektMałgorzata Piwońska26 kB6822017-01-27 12:18
Pobierz plik (2. TEODORÓW SZ.doc)2. TEODORÓW SZ.docProjektMałgorzata Piwońska33 kB6602017-01-27 12:18
Pobierz plik (1. TEODORÓW STRTYT.doc)1. TEODORÓW STRTYT.docProjektMałgorzata Piwońska27 kB6722017-01-27 12:18
Pobierz plik (Rys. nr 4. Plan sytuacyjny.jpg)Rys. nr 4. Plan sytuacyjny.jpgRysunkiMałgorzata Piwońska523 kB6972017-01-27 12:17
Pobierz plik (Rys. nr 3. Przekroje normalne.jpg)Rys. nr 3. Przekroje normalne.jpgRysunkiMałgorzata Piwońska447 kB6792017-01-27 12:17
Pobierz plik (Rys. nr 2. Lokalizacja.jpg)Rys. nr 2. Lokalizacja.jpgRysunkiMałgorzata Piwońska1147 kB6632017-01-27 12:16
Pobierz plik (Rys. nr 1. Orientacja.jpg)Rys. nr 1. Orientacja.jpgRysunkiMałgorzata Piwońska1507 kB6822017-01-27 12:16
Pobierz plik (6.d050326a Zabezpieczenie nawierzchni geosiatką.doc)6.d050326a Zabezpieczenie nawierzchni geosiatką.docSTWiORMałgorzata Piwońska331 kB6382017-01-27 12:15
Pobierz plik (5.d060301 Ścinanie i uzupełnianie poboczy.doc)5.d060301 Ścinanie i uzupełnianie poboczy.docSTWiORMałgorzata Piwońska188 kB6212017-01-27 12:15
Pobierz plik (4.d050305b Nawierzchnie z betonu asf. W-wa wiążąca.doc)4.d050305b Nawierzchnie z betonu asf. W-wa wiążąca.docSTWiORMałgorzata Piwońska344 kB6522017-01-27 12:14
Pobierz plik (3.d050305a Nawierzchnie z betonu asf. W-wa ścieralna.doc)3.d050305a Nawierzchnie z betonu asf. W-wa ścieralna.docSTWiORMałgorzata Piwońska336 kB6502017-01-27 12:14
Pobierz plik (2.d040800 Wyrównanie podbudowy.doc)2.d040800 Wyrównanie podbudowy.docSTWiORMałgorzata Piwońska185 kB6802017-01-27 12:14
Pobierz plik (1.d010000 Rob. przygot..doc)1.d010000 Rob. przygot..docSTWiORMałgorzata Piwońska110 kB6572017-01-27 12:14
Pobierz plik (0. SST STRTYT.doc)0. SST STRTYT.docSTWiORMałgorzata Piwońska28 kB7892017-01-27 12:13